The goal of the Hurricane Slider Puzzle game is not only to entertain, but to educate as well. Pictured below are all of the different hurricane images that are used in this game, along with information about the satellites that were used to take the images and the dates they were taken. You can click on any of the images to see a larger view, courtesy of NCDC.
![]() |
![]() |
![]() |
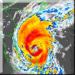
HurricaneFloyd over BahamasNOAA-14 AVHRR HRPTMulti-spectral False Color ImageSeptember 13, 1999 2040 UTC |
Hurricane Floyd after landfallGOES-8Colorized IR ImageSeptember 16, 1999 0645 UTC |
Hurricane DennisGOES-8 4km ResolutionChannel 4 Enhanced IRAugust 28, 1999 2345 UTC |
![]() |
![]() |
![]() |
Hurricane Dennis over BahamasNOAA-15 AVHRR HRPTMulti-spectral False Color ImageAugust 27, 1999 1243 UTC |
Hurricane GeorgesGOES-8 2km ResolutionChannel 1 VisibleSeptember 27, 1998 2145 UTC |
Hurricane BonnieNOAA-12Multi-channel ImageAugust 26 1998 1137 UTC |
![]() |
![]() |
![]() |
Hurricane FranGOES-8 2km ResolutionVisible ImageSeptember 4, 1996 1715 UTC |
Hurricane AndrewNOAA-12 AVHRR HRPTMulti-spectral False Color ImageAugust 2 3, 1992 1213 UTC |
Hurricane HugoNOAA-11 1km HRPTMulti-spectral False Color ImageSeptember 21, 1989 1844 UTC |
